The Devonport Flats (now referred to as 'apartments') consist of three separate four storey buildings built in 1923 and 1924. The first block - middle one on St. Aubyn Street - was completed in 1923, shortly followed by the corner block on Dawson Street. The largest block, at the eastern end of the site, was built in 1924. Originally known as 'Waldies Flats', they were built for Mr A.B. Waldie.

Mr C.R. Foote sold the apartments to Mrs Julia Robinson from Christchurch in early 1972 for about $650,000. Mrs Robinson's brief ownership of the Devonport Flats was plagued with financial problems and in 1984 Bruce Burmester and two unnamed partners purchased the property for what was said to be a similar price as that paid by Mrs Robinson.  

Trading as Devonport Apartments Ltd. the company set about renovating 45 flats (five were already in private ownership) and improving access issues from Young Street to provide car parking space. Plans at the time included adding penthouse apartments and lifts - these did not eventuate. 

The growing trend for inner-city living in the 1990s resulted in increased demand and prices for the Devonport apartments. 

Conservation architect, Chris Cochran, in the 1995 NPDC CBD Heritage Inventory called the flats "an historically interesting phenomenon, a large inner-city complex of residential flats from the 1920s, very rare in New Zealand until the government built inner city state housing blocks of similar scale in Auckland and Wellington in the late 1930s."

Puke Ariki holds blueprint plans for the buildings (ARC2006-004)

Related items:

Town sections 600, Taranaki Land Deed Index I3 page 393. (Archives New Zealand)

Town Section 601, Taranaki Land Deed Index I3 page 263 and 264, I13 page 409. (Archives New Zealand)

Town Section (Part) 602, Taranaki Land Deed Index I3 page 339. (Archives New Zealand) 

Taranaki DP1511 Sheet 1 (1900), ICS Pre 300,000 Cadastral Plan Index (Imaged by LINZ)

Taranaki DP1661 Sheet 1 (1901), ICS Pre 300,000 Cadastral Plan Index (Imaged by LINZ)

Taranaki DP1981 Sheet 1 (1903), ICS Pre 300,000 Cadastral Plan Index (Imaged by LINZ)

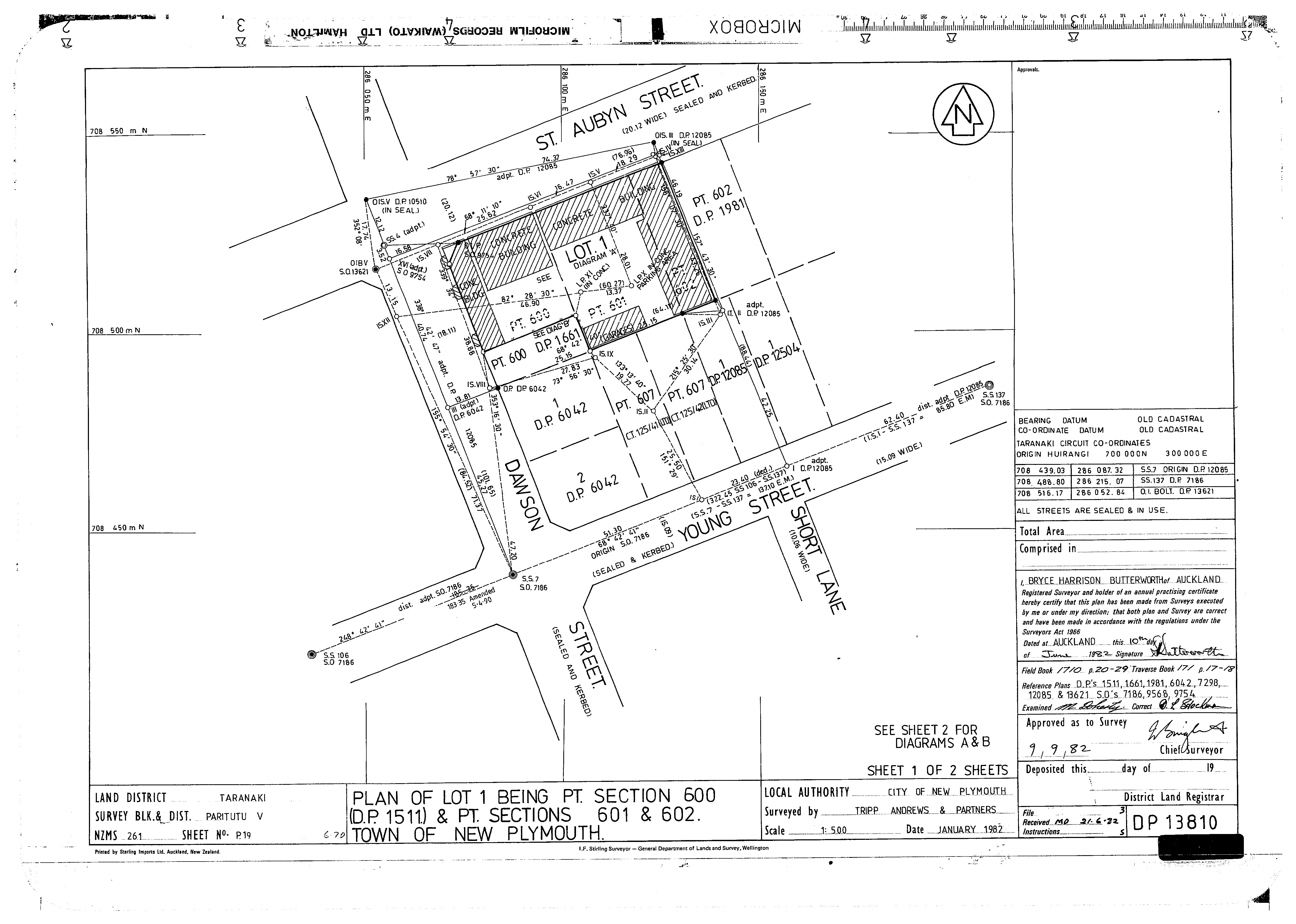
Taranaki DP13810 Sheet 1 (1982), ICS Pre 300,000 Cadastral Plan Index (Imaged by LINZ)

A.B. Waldie Obituary (Taranaki Herald 21 May 1928)

A.B. Waldie's Funeral (Taranaki Herald 22 May 1928)

Big Street Widening Job (Taranaki Herald 26 October 1965)

City flats for sale - again (Daily News 25 October 1983)

Sea Views Lure NP residents back to Devonport Flats (Daily News 20 Jan 1995)

Of passing interest, Kelvin Day (Taranaki Daily News 8 July 2013)

Related Information

Website

"Waldie's Flats, New Plymouth" (Bernard Aris sketch)

Link

Please do not reproduce these images without permission from Puke Ariki. 
Contact us for more information or you can order images online here.